W Żychlinie powstaje bezpieczna droga z nowym oświetleniem, rondami i drogą rowerową.
środa, 15 października 2025Inwestycja drogowa w Żychlinie wchodzi w decydującą fazę. Na odcinku prowadzącym do granicy województwa łódzkiego widać już niemal wszystkie efekty wielomiesięcznych prac.

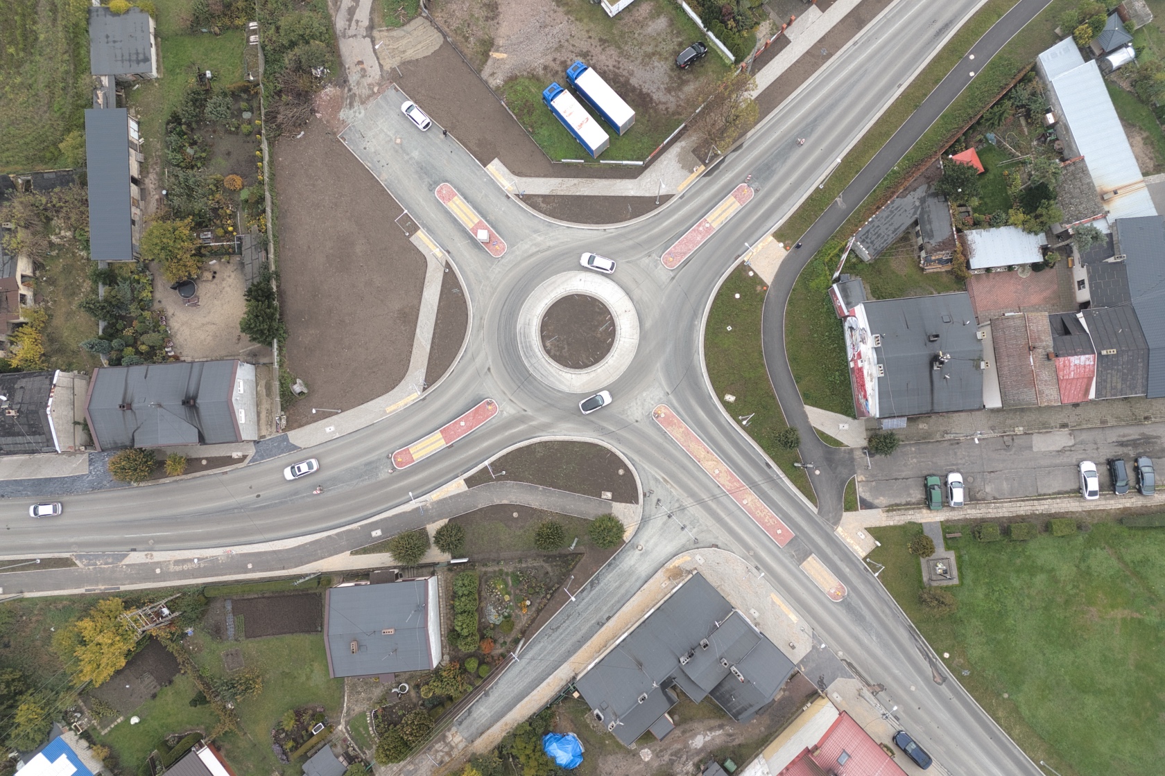
Nowa, bezpieczna droga, trasa rowerowa, zatoki autobusowe i dwa ronda to tylko część przedsięwzięcia realizowanego w ramach projektu współfinansowanego ze środków unijnych.

Gotowa jest już między innymi 1,5-kilometrowa droga rowerowa, zatoki autobusowe, a także dwa nowe ronda – na skrzyżowaniach ulic Łukasińskiego i Traugutta oraz Sannickiej, Orłowskiego i Placu Wolności. Działa już część nowego oświetlenia ulicznego, które wieczorami nadaje okolicy zupełnie nowy, bezpieczniejszy charakter.

Jak informuje Paweł Kusal, kierownik budowy, prace są już na finiszu. – Inwestycja jest prawie gotowa. Oświetlenie uliczne działa w części, a wkrótce zostanie podłączona także druga. Do wykonania zostało nam jeszcze profilowanie poboczy i usypanie kruszywa. W przyszłym tygodniu rozpoczniemy ustawianie znaków pionowych i malowanie oznakowania poziomego. Przed nami również nasadzenia – blisko dwieście drzew, wszystkie to lipy. Ta inwestycja poprawi bezpieczeństwo mieszkańców i kierowców. Ludzie często zatrzymują się, by powiedzieć, że cieszą się z efektu tych prac – mówi kierownik.

Drogowcom pozostały ostatnie zadania: dokończenie oznakowania, nasadzenie zieleni, roboty wykończeniowe i sprzątanie terenu. Jeśli pogoda dopisze, wszystko zakończy się jeszcze w listopadzie. Potem rozpoczną się procedury dopuszczenia drogi do użytkowania i wdrożenia docelowej organizacji ruchu, dlatego kierowcy muszą liczyć się z niewielkimi utrudnieniami do końca jesieni.

Zakres inwestycji obejmuje rozbudowę drogi wojewódzkiej na długości około 1,7 kilometra, modernizację skrzyżowań – w tym dwóch typu rondo – oraz przebudowę i rozbudowę odcinków dróg gminnych, powiatowych i wojewódzkich. W ramach prac powstają nowe chodniki i droga rowerowa z dopuszczeniem ruchu pieszych, zatoki autobusowe i postojowe, a także nowa kanalizacja deszczowa, przepusty i rowy melioracyjne. Przebudowywana jest także infrastruktura techniczna: sieci elektroenergetyczne, teletechniczne, wodociągowe, kanalizacyjne i gazowe.

Inwestycja realizowana jest w ramach projektu „Rozbudowa drogi wojewódzkiej Nr 583 i Nr 573 Bedlno – Żychlin – granica województwa – II etap, odcinek Żychlin – granica województwa”. Jej wartość wynosi ponad 31 mln zł, z czego 26 177 425,05 zł pochodzi z Europejskiego Funduszu Rozwoju Regionalnego w ramach programu Fundusze Europejskie dla Łódzkiego 2021–2027.
Nowa infrastruktura ma zapewnić większy komfort i bezpieczeństwo zarówno mieszkańcom, jak i kierowcom przejeżdżającym przez Żychlin. Wszystko wskazuje na to, że już wkrótce będą mogli z niej w pełni korzystać.
Agnieszka Lubiatowska, foto: Artur Kostkowski
